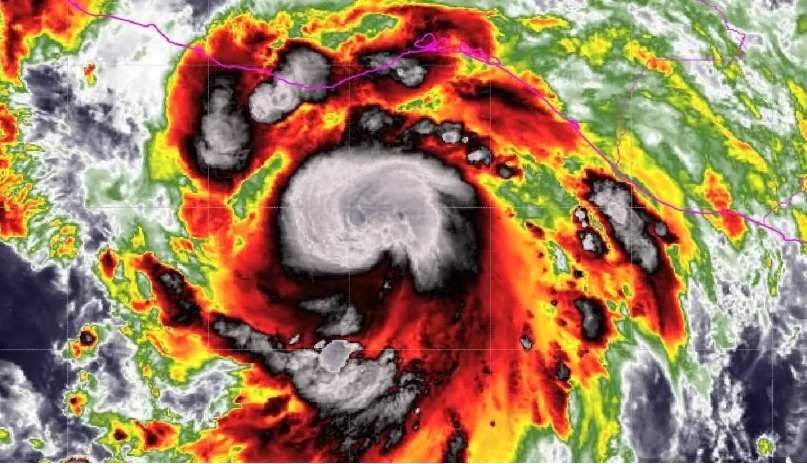
Tegucigalpa-Honduras. El Centro Nacional de Estudios Atmosféricos, Oceanográficos y Sísmicos (Cenaos) informó que la tormenta tropical Erick se fortaleció este miércoles en huracán de categoría 1 en la escala Saffir-Simpson, generando efectos indirectos sobre el territorio nacional.
Según el Cenaos, a las 6:00 a.m., Erick registraba vientos máximos sostenidos de 120 km/h, localizándose a unos 440 kilómetros al sur-sureste de Punta Maldonado, Guerrero, México.
Se espera que el ciclón continúe ganando fuerza mientras se aleja del litoral centroamericano y avance hacia el territorio mexicano, donde podría tocar tierra durante la madrugada del jueves.
¿Cómo afecta Erick a Honduras?
Aunque el huracán no impactará de forma directa a Honduras, su amplia circulación está generando condiciones atmosféricas inestables en el país.
Cenaos advierte que una onda tropical, al interactuar con los vientos asociados a Erick, está provocando abundante nubosidad, lluvias y chubascos de moderados a fuertes, acompañados de tormentas eléctricas.

Se encuentran en alerta amarilla los departamentos de Copán, Ocotepeque, Lempira, Intibucá, La Paz, Valle y Choluteca, así como las partes bajas de los municipios de Pimienta, Villanueva, Potrerillos y San Manuel en el departamento de Cortés, y El Progreso en Yoro, hasta el sector del Ramal del Tigre en Tela, Atlántida, por la creciente del río Ulúa.


COMENTARIOS