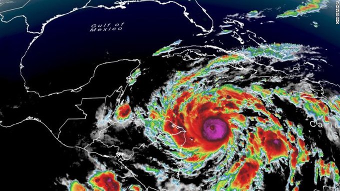
El Centro Nacional de Estudios Atmosféricos, Oceanográficos y Sísmicos (Cenaos) de Copeco informó que el Huracán ETA ha bajado a la categoría 2 en la escala Saffir Simpson tras tocar suelo nicaragüense.
Actualmente este fenómeno se encuentra ubicado a unos 282 kilómetros al Sureste de Catacamas, Olancho, y mantiene su velocidad de desplazamiento a 07 Km/h, sobre Nicaragua, con vientos máximos sostenidos de 175 Km/h.
Continua la advertencia de huracán para sectores de la costa la costa de Nicaragua, la frontera de Honduras/Nicaragua Sandy Bay y vigilancia de Tormenta Tropical de la costa noreste de Honduras desde Punta Patuca, hasta la frontera Honduras/ Nicaragua, esto significa que, condiciones con vientos superiores a los 175 Km/h son probables en las áreas en mención dentro de las próximas 06 horas, con oleaje que podría alcanzar entre 4 a 7 pies de altura.
En el transcurso de hoy martes por la noche y madrugada del miércoles, se pronostican lluvias y chubascos intermitentes, dispersas acompañadas de actividad eléctrica aislada; con acumulados que puedan dar entre 120 y 140 milímetros, con máximos de 150 a 200 en las montañas.
Estas precipitaciones serán el resultado de la interacción de los vientos acelerados del norte, con las bandas nubosas y la circulación asociada al huracán Eta.
Se pronostica que la posible trayectoria que seguiría este ciclón tropical el día de hoy, es a través del territorio nicaragüense, donde se espera pierda intensidad en sus vientos, hasta llegar a los departamentos del Oriente hondureño, el miércoles en horas del mediodía ya como depresión tropical.


COMENTARIOS