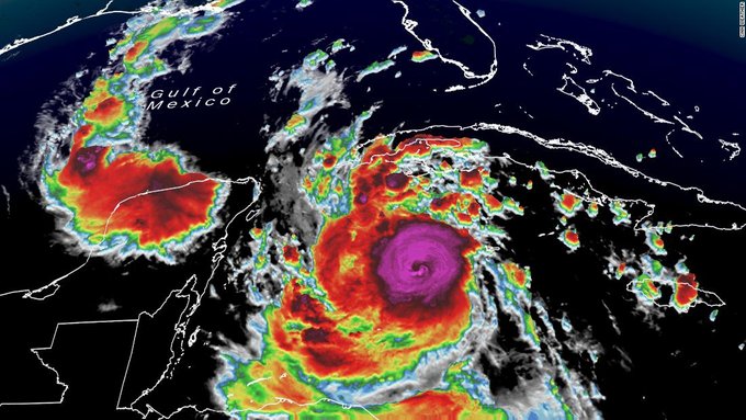
(CNN) — El huracán Delta tocó tierra la mañana de este miércoles en México, aproximadamente a medio camino entre las ciudades turísticas de Cancún y Playa del Carmen en la localidad de Puerto Morelos, según la última actualización del Centro Nacional de Huracanes.
Delta tiene vientos de 175 kilómetros por hora, lo que lo convierte en un fuerte huracán de categoría 2.
El huracán se abrirá paso rápidamente sobre Yucatán esta mañana y resurgirá en el Golfo de México más tarde este mismo día.
Una vez de regreso en aguas abiertas, es probable que Delta se fortalezca y se convierta en un gran huracán, antes de girar hacia el norte hacia la costa de Louisiana, en Estados Unidos.
Las alertas de huracanes y de marejadas ciclónicas probablemente se emitirán hoy a lo largo de la costa del Golfo de EE.UU.
La gente de toda la península se preparó para la tormenta del martes comprando suministros en las tiendas de comestibles, cubriendo edificios con madera contrachapada y haciendo fila para llenar grandes jarras de agua, mostró un video de TV Azteca, afiliada de CNN.
Decenas de turistas que fueron evacuados de sus hoteles fueron vistos con máscaras, sentados, acostados y charlando mientras esperaban el transporte, según las imágenes.


COMENTARIOS